Komunikaty

pagina

Rada Miasta Poznania

Pominąłeś menu

menu

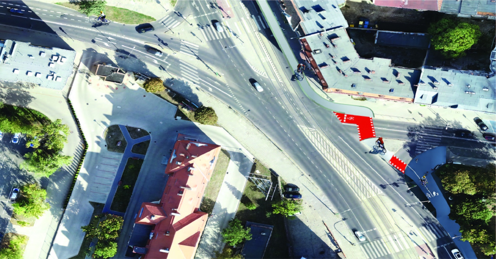
Budują drogę dla rowerów na ul. Grunwaldzkiej

Rozpoczęła się realizacja kolejnego etapu budowy dróg rowerowych wzdłuż ul. Grunwaldzkiej. Drogowcy już od końca marca pracują na dwóch odcinkach tej ulicy - od ul. Stolarskiej do ul. Bukowskiej oraz od ul. Promienistej do ul. Słonecznej/Ostroroga. Prace, które ruszyły w czwartek, objęły fragment pomiędzy ulicami Stolarską i Ułańską. Na tym odcinku zmieni się organizacja ruchu.

fot. PIM - grafika artykułu
fot. PIM

Podobnie jak w przypadku poprzednich odcinków, prace będą prowadzone na południowej jezdni ul. Grunwaldzkiej oraz na chodniku. Dla pieszych przygotowane zostaną korytarze, którymi będą mogli dotrzeć do wyznaczonych dla nich przejść. Kierowców obowiązywać będzie ograniczenie dopuszczalnej prędkości jazdy. Prace związane z wymianą nawierzchni na wlotach skrzyżowań z ul. Grunwaldzką mają być prowadzone w godzinach wieczornych, z zastosowaniem ręcznego kierowania ruchem.

- Efektem prac prowadzonych na ul. Grunwaldzkiej będzie powstanie jednej z najważniejszych i najbardziej wyczekiwanych przez rowerzystów tras w stolicy Wielkopolski - informują Poznańskie Inwestycje Miejskie. Już pod koniec roku będą mogli korzystać z dwukierunkowej drogi rowerowej z nawierzchnią bitumiczną. Wzdłuż trasy pojawią się nowe elementy małej architektury. Sposób parkowania pojazdów zmieni się na równoległy, a zatoki postojowe zostaną przebudowane i otrzymają nową nawierzchnię z kostki betonowej.

PIM, jg

Do góry