Zmienią organizację ruchu na Rondzie Kaponiera

W sierpniu Zarząd Dróg Miejskich rozpocznie wprowadzanie zmian w organizacji ruchu na rondzie Kaponiera. Dzięki nim usprawniony zostanie ruch pojazdów transportu zbiorowego oraz przejazdy w relacji południe - północ Poznania, a także łatwiej będzie można wyjechać z centrum. Czasowo na niekorzyść zmieni się organizacja ruchu dla rowerzystów, ale docelowo zyskają dwukierunkową drogę rowerową pomiędzy Jeżycami a Starym Miastem.

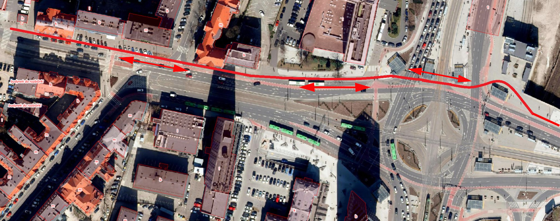
fot. ZDM - grafika artykułu
fot. ZDM

- Celem zmian jest nie tylko poprawa warunków jazdy, ale także komfortu życia mieszkańców części Starego Miasta i Jeżyc. Łatwiejszy będzie przejazd po I ramie komunikacyjnej, zmniejszy się ryzyko powstania zatorów na ulicach, a ostatecznie ma poprawić się także jakość powietrza w śródmiejskiej zabudowie - informuje ZDM.

Zmiany związane są między innymi z projektowaną przebudową ul. Św. Marcin, na odcinku od mostu Uniwersyteckiego do al. Niepodległości wraz ze skrzyżowaniem al. Niepodległości i ul. Towarową oraz projektowanym wyznaczeniem dwukierunkowej drogi rowerowej w ul. Zwierzynieckiej, na odcinku od ronda Kaponiera do ul. Gajowej, łączącej Jeżyce z centrum. Zmiany zostaną wprowadzone etapami.

Mniej samochodów na Jeżycach

Aby sprawniej przejechać z południowych do północnych osiedli miasta zmiany zostaną wprowadzone na jezdni ul. Roosevelta, od strony mostu Dworcowego, przy dojeździe do ronda Kaponiera. Lewy skrajny pas jezdni będzie przeznaczony do skrętu w lewo, dwa kolejne do jazdy na wprost, a prawy dla jadących w stronę ul. Św. Marcin. Jadący na wprost zyskają dwa odrębne pasy i nie będą blokowani przez skręcających w lewo.  

Dzięki temu usprawni się przejazd, a to może oznaczać, że więcej kierowców zamiast śródmiejskimi lub jeżyckimi uliczkami przejedzie ulicami I ramy komunikacyjnej, w tym ul. Roosevelta. - Zmniejszy się liczba samochodów jadących pomiędzy kamienicami, a tym samym ilość spalin wśród zwartej zabudowy- wyjaśniają drogowcy.

Zmiany czekają też dojeżdżający samochodem do ronda Kaponiera ulicą Św. Marcin. Kierowcy będą mieli do dyspozycji cztery pasy ruchu. Jadący w lewo (w stronę Targów) zyskają dwa odrębne pasy do skrętu. Osobne pasy będą zachowane dla jadących na wprost i skręcających w prawo.  Usprawni to ruch wyjeżdżających z centrum, którzy obecnie stoją w zatorze od pl. Mickiewicza i w ten sposób generują zwiększoną emisję spalin.

Zmiany dla rowerzystów

W pierwszym etapie przesunięty zostanie pas rowerowy znajdujący się na wjeździe na rondo Kaponiera od strony ul. Św. Marcin. Rowerem będzie można dojechać do ronda Kaponiera po istniejącej drodze rowerowej znajdującej się wzdłuż chodnika, po północnej stronie mostu Uniwersyteckiego. Przed sygnalizacją świetlną na rondzie zamontowany zostanie sygnalizator, który pozwoli rowerzystom bezpiecznie wjechać na śluzę rowerową znajdującą się na jezdni. Takie rozwiązanie będzie funkcjonowało do czasu wybudowania wygodnej dwukierunkowej drogi rowerowej przez północną część ronda, wzdłuż ulicy Zwierzynieckiej aż do ul. Gajowej, z nowym przejazdem przez rondo.

Docelowa dwukierunkowa droga rowerowa na tej części ronda pozwoli znacznie wygodniej i szybciej podróżować rowerami pomiędzy Jeżycami a centrum. Jest to jedno z wyczekiwanych przez rowerzystów rozwiązań. Zachowany zostanie także pas rowerowy od ul. Zeylanda w kierunku centrum.  Już w sierpniu rozpocznie się projektowanie wspomnianej drogi rowerowej. Budowa planowana jest w przyszłym roku.

Zmiany dla komunikacji miejskiej

Zmiany dotyczyć będą również komunikacji publicznej. Dla tramwajów jadących od strony ul. Głogowskiej, ul. Grunwaldzkiej i skręcających w prawo w ul. Św. Marcin zamontowany zostanie dodatkowy sygnalizator. Pasażerowie tramwajów nr 13 i 5 sprawniej przejadą w kierunku ul. Św. Marcin, bo tramwaje częściej otrzymają zielone światło.

Aby ograniczyć blokowanie torowiska przez samochody, które nie mogą zjechać z ronda, zamontowane zostaną sygnalizatory kierunkowe. Sygnalizatory dla samochodów skręcających w lewo pojawią się na wlotach na rondo od strony ul. Św. Marcin i wlotach z ul. Roosevelta. Pozwoli to na lepszą kontrolę liczby wjeżdżających na rondo pojazdów, poprawi bezpieczeństwo i pozytywnie wpłynie na płynność ruchu. Na zmianie powinni zyskać również pasażerowie autobusów linii nr 163 i 169, którzy szybciej przejadą przez rondo.

Docelowe rozwiązania

W przyszłym roku ma się rozpocząć przebudowa skrzyżowania ul. Św. Marcin z al. Niepodległości oraz budowa dwukierunkowej drogi rowerowej w ul. Zwierzynieckiej. Docelowy układ zostanie uzyskany po zakończeniu tych inwestycji.

Obecne zmiany będą wprowadzane w sierpniu br. i zakończą się przed pierwszym września. Prace nie powinny utrudniać ruchu na rondzie. 

Wprowadzenie zmian, ze względu na objęcie nimi tras z Programu Rowerowego Miasta Poznania, było konsultowane ze Stowarzyszeniem Rowerowy Poznań.

ZDM, jg