Komunikaty

pagina

Rada Miasta Poznania

Pominąłeś menu

menu

W sprawie bezpieczeństwa na rondzie

 Radny Marek Sternalski złożył interpelację w sprawie bezpieczeństwa na Rondzie Wandy Błeńskiej.

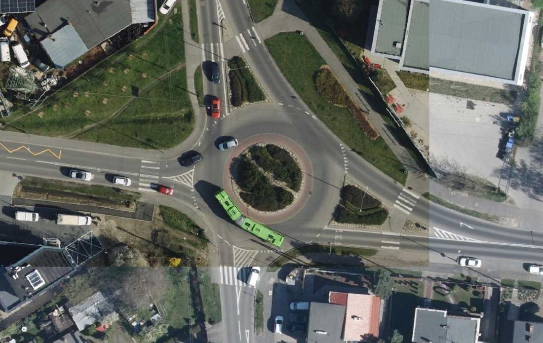
widok z wysokości na rondo i przyległe ulice - grafika artykułu
Rondo im. Wandy Błeńskiej (mapa: ZGiKM GEOPOZ)

Radny otrzymał skargę grupy mieszkańców, dotyczącą ograniczonej widoczności dla kierowców podczas korzystania z przejazdu na Rondzie Wandy Błeńskiej, w szczególności przy wyjeździe z ul. Stróżyńskiego w ulicę Jaroczyńskiego. Według mieszkańców powodem takiego stanu jest brak wystarczającej pielęgnacji roślin wewnątrz ronda. Marek Sternalski zwrócił się o sprawdzenie czy w odpowiedni sposób pielęgnowana jest zieleń wewnątrz ronda, tak aby zapewnić bezpieczeństwo użytkownikom ruchu drogowego.

W odpowiedzi Urząd Miasta informuje, że podczas przeprowadzonej 17 lipca br. wizji w terenie nie stwierdzono, by nasadzona na dojazdach do ronda im. Wandy Błeńskiej roślinność ograniczała widoczność i stanowiła zagrożenie dla osób z niego korzystających. Wiosną tego roku, podobnie jak w latach ubiegłych, krzewy rosnące na dojeździe do ronda od strony ul. Jaroczyńskiego zostały przycięte. W treści odpowiedzi zaznacza się również, że jak w przypadku ronda położonego u zbiegu ulic Stróżyńskiego/Szymanowskiego - wyspa ronda im. Wandy Błeńskiej jest nieprzejrzysta. Krzewy, które zostały posadzone na środku ronda, mają służyć poprawie bezpieczeństwa. "Osoba kierująca pojazdem zbliżając się do niego, nie widzi co dzieje się na jego tarczy i tuż za nim. Kierujący pojazdem zmuszony jest więc do zmniejszenia prędkości jazdy. Oznakowanie pionowe i poziome znajdujące się przed rondem informuje o konieczności ustąpienia pierwszeństwa pojazdom będącym już na rondzie. Z uwagi na jego niewielkie rozmiary, konieczne jest zatrzymanie pojazdu lub znaczne zmniejszenie jego prędkości przed wjazdem na rondo, co zwiększa bezpieczeństwo na rondzie." - czytamy w odpowiedzi udzielonej radnemu Sternalskiemu.

oprac. red.

Do góry