Komunikaty

pagina

Rada Miasta Poznania

Pominąłeś menu

menu

Skwer Zbigniewa Wodeckiego?

Projekt uchwały w sprawie nadania skwerowi na Łacinie imienia Zbigniewa Wodeckiego - kompozytora, piosenkarza, multiinstrumentalisty - trafił do Biura Rady Miasta.

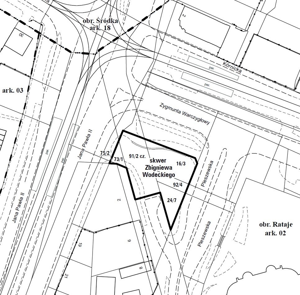
Czarno biała mapa geodezyjna z fragmentem miasta, zaznaczonymi ulicami i skwerami - grafika artykułu
Mapa załącznik do projektu uchwały sprawie nazwania skweru imieniem Zbigniewa Wodeckiego

Skwer znajduje się w rejonie ulic: Jana Pawła II, Pleszewskiej i Zygmunta Warczygłowy. W okolicy funkcjonuje nazewnictwo upamiętniające innych znanych polskich muzyków.

Zbigniew Wodecki urodził się 6 maja 1950 r. w Krakowie. Z wyróżnieniem ukończył Państwową Szkołę Muzyczną II stopnia w Krakowie. Karierę muzyczną zaczynał w latach 60., grając na skrzypcach w zespołach Czarne Perły i Anawa. Pracował także z orkiestrą symfoniczną Polskiego Radia oraz Krakowską Orkiestrą Kameralną. W latach 1968-1973 akompaniował Ewie Demarczyk podczas tras koncertowych. Jako piosenkarz zadebiutował w 1972 r. na Krajowym Festiwalu Piosenki Polskiej w Opolu, zdobywając wówczas nagrodę za debiut.

W 1978 r. trafił na kilka lat do Orkiestry Polskiego Radia i Telewizji w Poznaniu, prowadzonej przez Zbigniewa Górnego. W tym czasie zaczął też występować w kabaretowych programach Zenona Laskowika.

Do jego najbardziej znanych przebojów można zaliczyć m.in.: "Zacznij od Bacha", "Chałupy Welcome to", "Lubię wracać tam, gdzie byłem", "Z tobą chcę oglądać świat" (duet ze Zdzisławą Sośnicką), "Izolda", "Opowiadaj mi tak" oraz tytułową piosenkę do serialu animowanego dla najmłodszych pt. "Pszczółka Maja".

Wodecki to kilkukrotny zdobywca nagród na Krajowym Festiwalu Piosenki Polskiej w Opolu. Dwukrotny laureat Nagrody Artystycznej Polskiej Estrady "Prometeusz", dwukrotny laureat Fryderyka oraz Złotego Fryderyka. Zmarł 22 maja 2017 r. w Warszawie. Został pochowany na cmentarzu Rakowickim w Krakowie.

Projekt uchwały będzie opiniowany przez Komisję Kultury i Nauki na posiedzeniu w dniu 4 lipca. Projekt uchwały znalazł się także w porządku obrad sesji RMP w dniu 9 lipca.

oprac. red.

Do góry